Zadávací dokumentace

Zadávací řízení: Výměna střešní krytiny na budově B SZŠ a VOŠ Cheb, Hradební ulice

Informace o dokumentu

Název: př. č. 4 k Výzvě
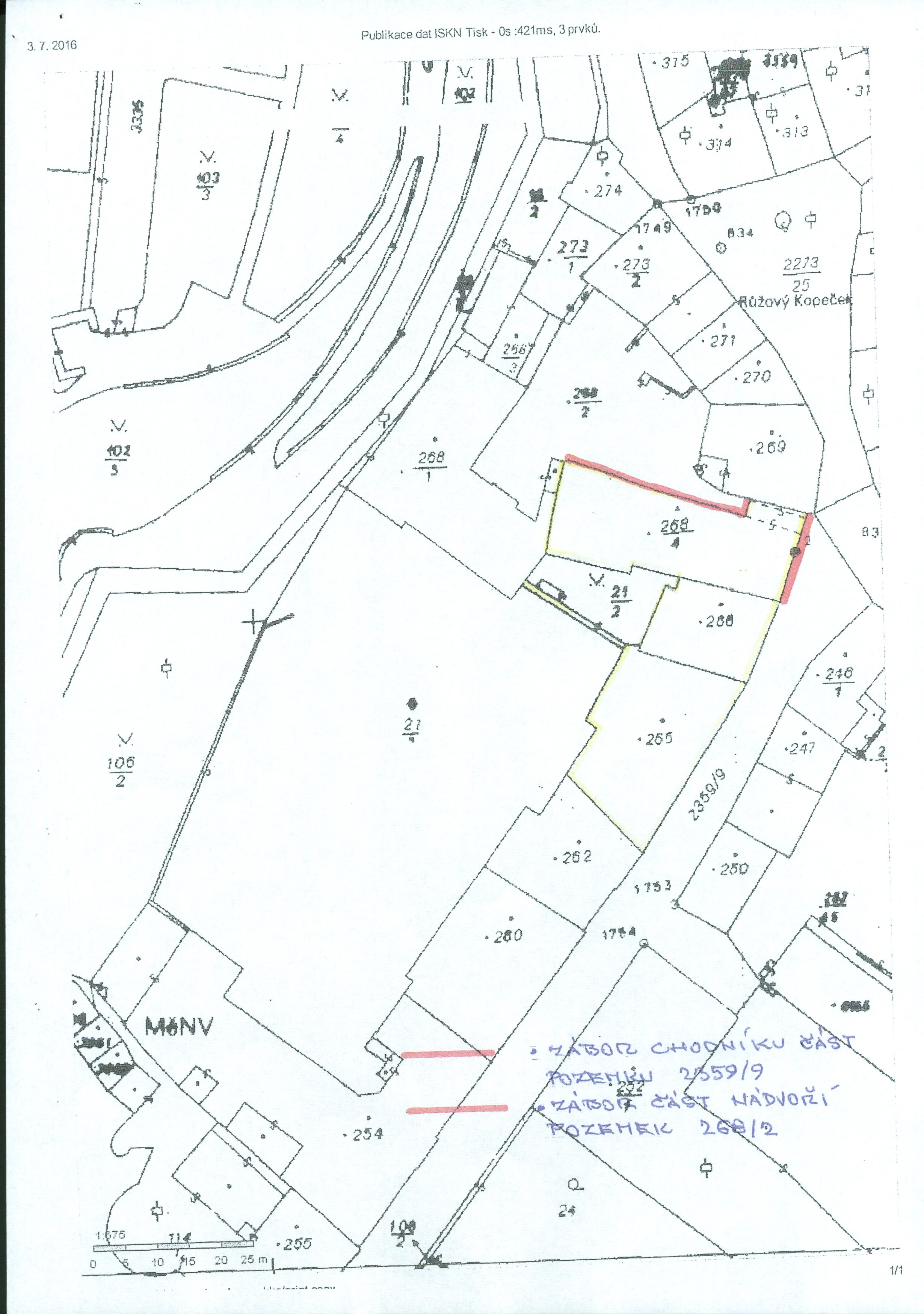
Popis: př. č. 4 k Výzvě - snímek pozemkové mapy - nutné zábory a souhlasy

Aktuální verze souboru

Jméno souboru: Obrázek JPEG 4. poz. mapa 2 001.jpg
Velikost: 685,64 KiB
Aktuální verze souboru: 27.07.2016 14:36:47
Otisk MD5: c3fa8694c4a67fb76f3c1d7458098aff
Otisk SHA256: ff33c54abc939ca06591007d3e049ece5de62d7231839eee4a900849d59f1c96

Historie souboru

Datum Název Popis Typ dokumentu Jméno souboru Velikost
V 27.07.2016 14:36:47 př. č. 4 k Výzvě př. č. 4 k Výzvě - snímek pozemkové mapy - nutné zábory a souhlasy zadávací dokumentace - 4. poz. mapa 2 001.jpg 685,64 KiB